SUSTAINABLE URBAN LANDSCAPES
Alternative Development Standards
for Sustainable Communities
STATUS QUO DEVELOPMENT
Utilities - Sanitary
 
Back

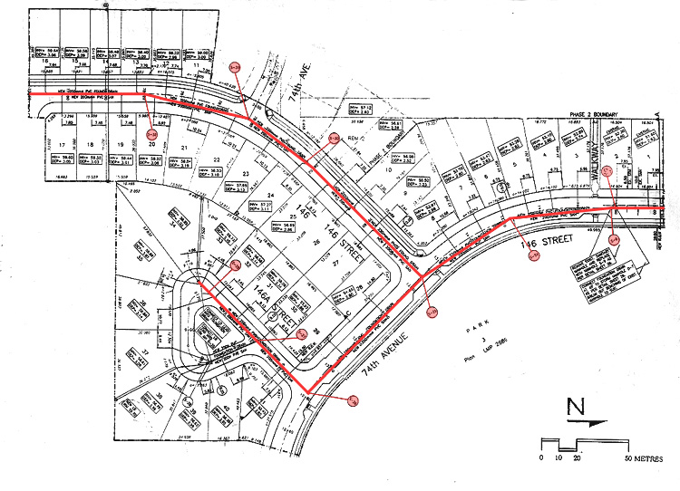
In the Status Quo Development Case Study Site sanitary sewers are constructed under the road pavement.  The sanitary and storm sewers are constructed in a joint trench to reduce the cost of construction.